Skip to main content
Luberri.net
EH.Org
Main navigation
Herriak
Zerrenda
Udalerri mapa
Megalitoak
Aurkibidea
Jasotako azkenak
Mapa
Mendiak
Aurkibidea
Jasotako azkenak
Bilatu
Argazkiak
Ibilbideak
Mapa
Ondarea
Aurkibidea
Argazkiak
Mapa
Jasotako azkenak
Hilarriak
Natura
Botanika
Landarea bilatu
Zuhaitz apartak
Argazkiak
Jasotako azkenak
Erabiltzaile anonimoentzako menua
Saioa hasi
Breadcrumb
Azala
31560.jpg
Loreak
Jatorrizko fitxategiaren neurriak
800x548px (71.83kB)
Jatorrizko fitxategiaren izena
31560.jpg
Lizentzia
Egileari galdetu
Noiz aterea
2008-08-26
Zein orritan
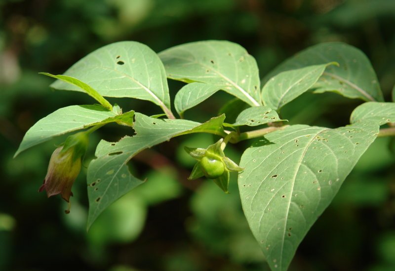
Atropa belladonna
Honek egina:
inaxio
Noiz jasoa
2008·ko Abuztuaren 26·an - 23:40etan
Webgune zaharrean ikusi:
31560
Luberri.net
Nabigazio nagusia
Herriak
Zerrenda
Udalerri mapa
Megalitoak
Aurkibidea
Jasotako azkenak
Mapa
Mendiak
Aurkibidea
Jasotako azkenak
Bilatu
Argazkiak
Ibilbideak
Mapa
Ondarea
Aurkibidea
Argazkiak
Mapa
Jasotako azkenak
Hilarriak
Natura
Botanika
Zuhaitz apartak
Argazkiak
Jasotako azkenak